
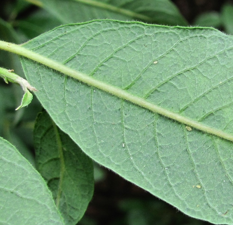
Верхушка ветви. Архангельская обл., Приморский р-н, окр. дер. Солза, луг вблизи ж. д. 08.07.2013.
Gennadiy Okatov © 2013
The marker on the map does not indicate the exact coordinates of the plant or lichen.
The marker does only indicate the conditional center of the terrain ("geographic point") where the photo was taken.
Open mapSee also:
Discussion (13)
All photos of taxon (109)
Code of link to photo
| Create: | HTML or BBCode with preview |
| Code for linking on the web: | |
| This is how it will look: | ![]() Salix lapponum on the site «Plantarium» |
Text to cite the page
Окатов Г. 2013. Изображение Salix lapponum L. // Плантариум. Растения и лишайники России и сопредельных стран: открытый онлайн атлас и определитель растений. [Электронный ресурс] URL: https://www.plantarium.ru/page/image/id/197148.html (дата обращения: 31.01.2026).
Okatov G. 2013. Image of Salix lapponum L. // Plantarium. Plants and lichens of Russia and neighboring countries: open online galleries and plant identification guide. URL: https://www.plantarium.ru/lang/en/page/image/id/197148.html (accessed on 31 Jan 2026).
Views: 2253Discussion
| Dmitry Oreshkin | Экая она ярко зелёная, просто S. reticulata по цвету напоминает... Это так и было или "съехала" цветопередача? |
| Lena Glazunova | |
| Gennadiy Okatov | С цветопередачей всё нормально. У неё действительно были такие яркие и блестящие листья. |
| Dmitry Oreshkin | Необычно для Salix lapponum. |
| Gennadiy Okatov | |
| Gennadiy Okatov | Другой лист с этого же куста, более опушённый: IMG_7306+.jpg |
| Lena Glazunova | Опушение нехарактерное. У лопарской листья снизу покрыты очень густым войлоком, таким, что жилки 3-го порядка совершенно не видны. Может быть, есть серёжки? Они тоже у неё очень характерные. |
| Gennadiy Okatov | Серёжек нет. Кстати, во Флоре Мурманской обл. в описании вида говорится, что листья как сверху, так и снизу могут быть почти голыми, приводится f. denudata Norm. |
| Dmitry Oreshkin | При этом листья должны быть серовато-бледнозелёные, а вот бледности и серости здесь никак нет... И ещё смущает намёк на максимальную ширину листьев выше середины. |
| Lena Glazunova | Да, но тут опушение другого типа...
На кадре 7312 есть серёжка, только ракурс не подходящий... |
| Gennadiy Okatov | Серовато-бледнозеленые они, по-моему, и есть, снизу. Или я уже к ночи оттенки не различаю.. |
| Gennadiy Okatov | |
| Lena Glazunova | Да, пожалуй, я была неправа. Мало того, что листья сейчас заметно полысели по сравнению с началом сезона, они ещё и выглядят на снимке не совсем так, как в действительности... |

