
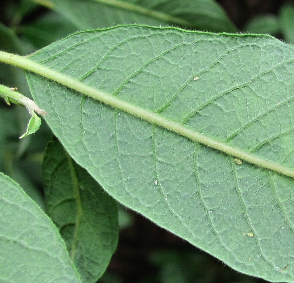
Верхушка ветви. Архангельская обл., Приморский р-н, окр. дер. Солза, луг вблизи ж. д. 08.07.2013.
Геннадий Окатов © 2013
Маркер на карте не будет указывать точные координаты растения или лишайника.
Маркер укажет лишь на условный центр местности ("географической точки"), где сделано фото.
Открыть картуСмотри также:
Обсуждение (13)
Все фото таксона (109)
Код ссылки на фото
| Создать: | HTML или BBCode с "превьюшкой" |
| Код для ссылки в Сети: | |
| Так это будет выглядеть: | ![]() Salix lapponum на сайте «Плантариум» |
Ссылки для публикаций
Окатов Г. 2013. Изображение Salix lapponum L. // Плантариум. Растения и лишайники России и сопредельных стран: открытый онлайн атлас и определитель растений. [Электронный ресурс] URL: https://www.plantarium.ru/page/image/id/197148.html (дата обращения: 20.03.2026).
Okatov G. 2013. Image of Salix lapponum L. // Plantarium. Plants and lichens of Russia and neighboring countries: open online galleries and plant identification guide. URL: https://www.plantarium.ru/lang/en/page/image/id/197148.html (accessed on 20 Mar 2026).
Просмотры: 2281Обсуждение
| Дмитрий Орешкин | Экая она ярко зелёная, просто S. reticulata по цвету напоминает... Это так и было или "съехала" цветопередача? |
| Лена Глазунова | |
| Геннадий Окатов | С цветопередачей всё нормально. У неё действительно были такие яркие и блестящие листья. |
| Дмитрий Орешкин | Необычно для Salix lapponum. |
| Геннадий Окатов | |
| Геннадий Окатов | Другой лист с этого же куста, более опушённый: IMG_7306+.jpg |
| Лена Глазунова | Опушение нехарактерное. У лопарской листья снизу покрыты очень густым войлоком, таким, что жилки 3-го порядка совершенно не видны. Может быть, есть серёжки? Они тоже у неё очень характерные. |
| Геннадий Окатов | Серёжек нет. Кстати, во Флоре Мурманской обл. в описании вида говорится, что листья как сверху, так и снизу могут быть почти голыми, приводится f. denudata Norm. |
| Дмитрий Орешкин | При этом листья должны быть серовато-бледнозелёные, а вот бледности и серости здесь никак нет... И ещё смущает намёк на максимальную ширину листьев выше середины. |
| Лена Глазунова | Да, но тут опушение другого типа...
На кадре 7312 есть серёжка, только ракурс не подходящий... |
| Геннадий Окатов | Серовато-бледнозеленые они, по-моему, и есть, снизу. Или я уже к ночи оттенки не различаю.. |
| Геннадий Окатов | |
| Лена Глазунова | Да, пожалуй, я была неправа. Мало того, что листья сейчас заметно полысели по сравнению с началом сезона, они ещё и выглядят на снимке не совсем так, как в действительности... |

