
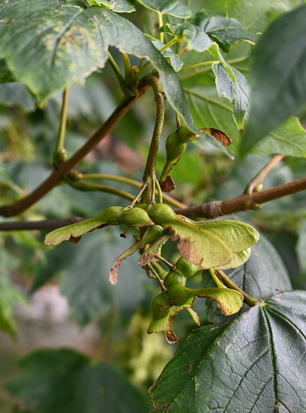
Ветвь плодоносящего дерева. Калининград, крутой берег пруда рядом с башней Дона. 31.07.2025.
Shooting place: Калининград
See also:
Discussion (2)
All photos of taxon (218)

|
|
Feedback | Rule to use this image: Only by permission / all rights reserved (©). Copying and reprinting of this image is possible only with the permission of the author. Details | |