
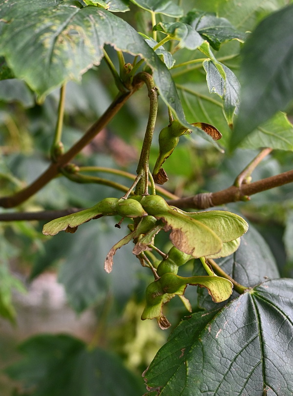
Ветвь плодоносящего дерева. Калининград, крутой берег пруда рядом с башней Дона. 31.07.2025.
Координаты: 54° 43′ 21.50″ с.ш., 20° 31′ 21.16″ в.д. (смотреть на картах Google, Яндекса, OpenStreetMap)
Место съёмки: Калининград
Смотри также:
Обсуждение (2)
Все фото таксона (218)

