
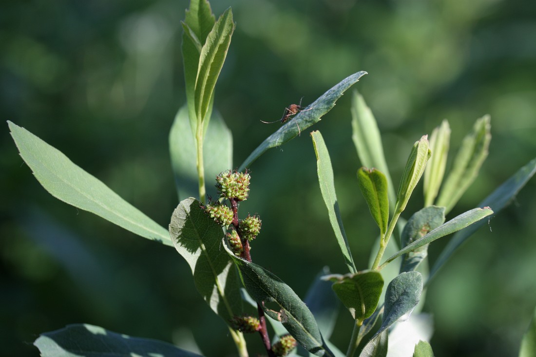
Верхушка веточки с незрелыми соплодиями и молодыми побегами. Ленинградская обл., приморское болото в р-не пос. Большая Ижора. 18.06.2011.
See also:
All photos in group (16)
All photos of taxon (67)

|
|
Feedback | Rule to use this image: Only by permission / all rights reserved (©). Copying and reprinting of this image is possible only with the permission of the author. Details | |