
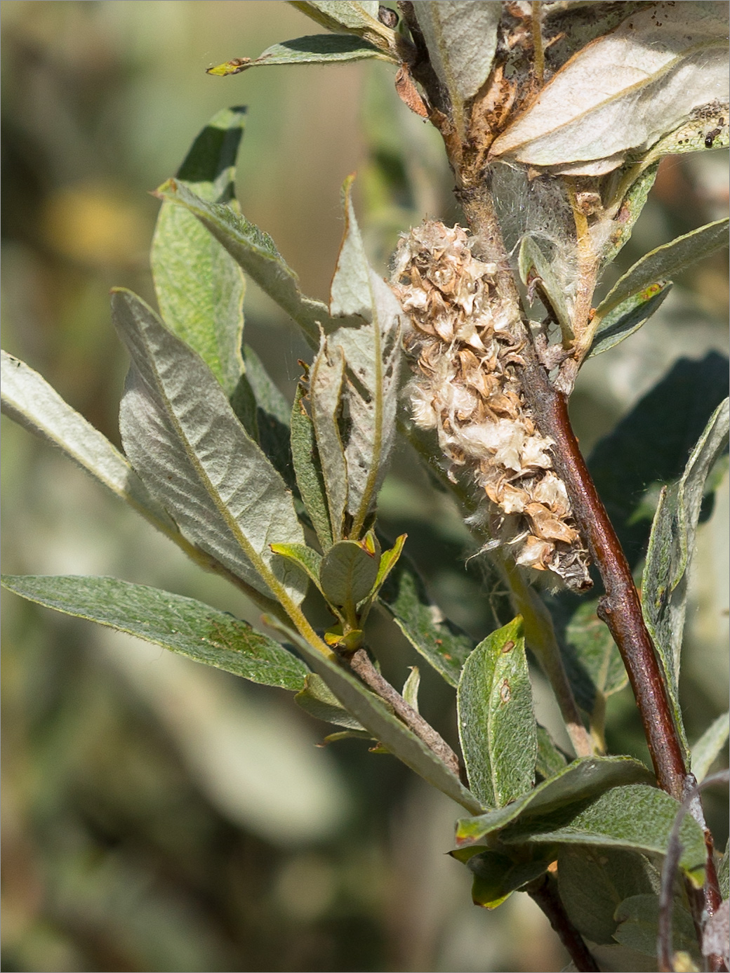
Часть веточки с соплодием. Карелия, восточный берег оз. Топозеро, облесённый край песчаного пляжа у границы с низинным болотом. 01.08.2025.
See also:
Discussion (4)
All photos of taxon (1217)

|
|
Feedback | Rule to use this image: Only by permission / all rights reserved (©). Copying and reprinting of this image is possible only with the permission of the author. Details | |