
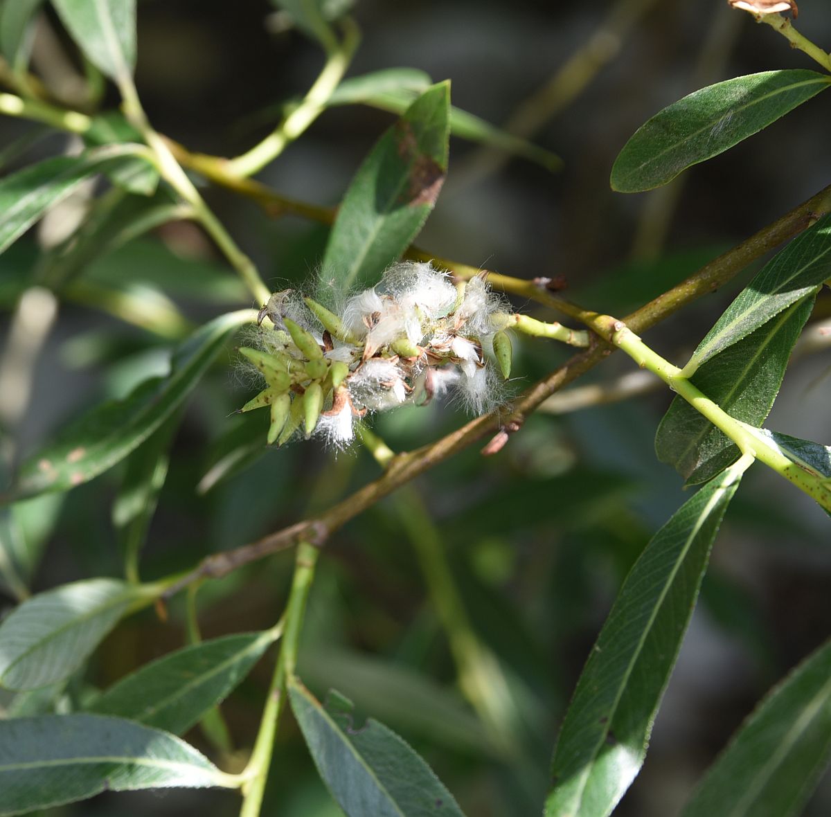
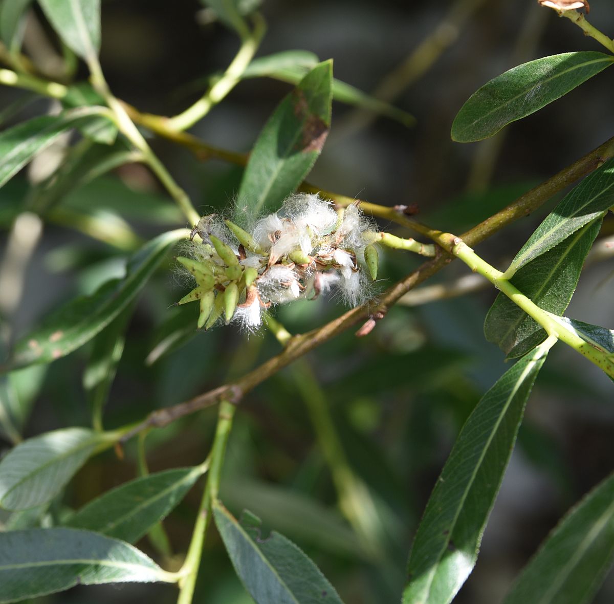
Плодоносящее растение. Кабардино-Балкария, Эльбрусский р-н, Тызыльское ущелье, окр. минерального источника, заросли на правом берегу реки рядом с устьем правого притока. 25 июля 2022 г.
See also:
Discussion (1)
All photos of taxon (1221)

|
|
Feedback | Rule to use this image: Only by permission / all rights reserved (©). Copying and reprinting of this image is possible only with the permission of the author. Details | |