
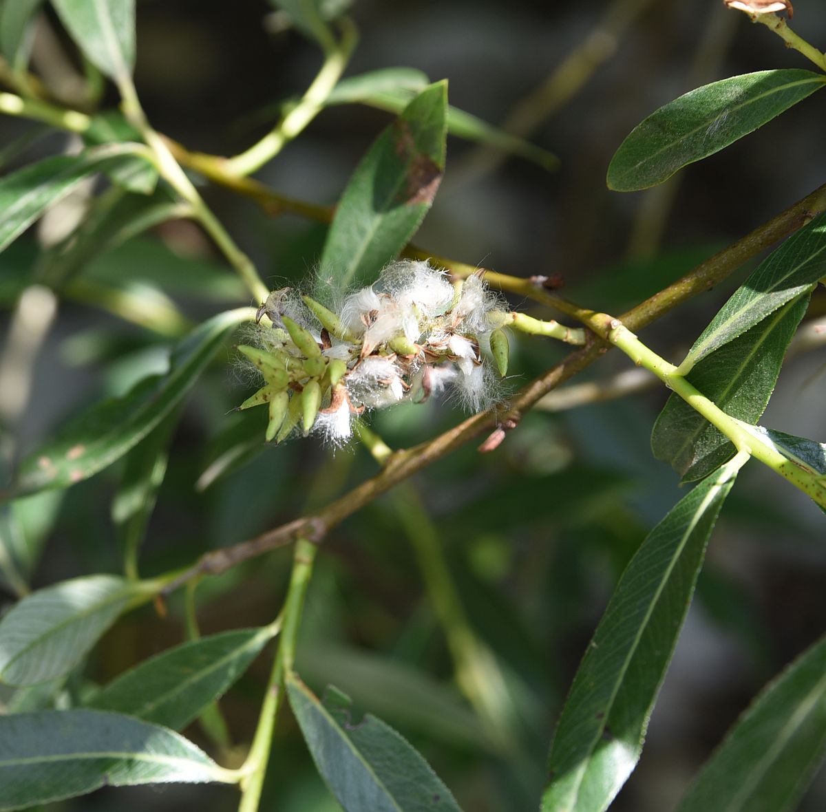
Плодоносящее растение. Кабардино-Балкария, Эльбрусский р-н, Тызыльское ущелье, окр. минерального источника, заросли на правом берегу реки рядом с устьем правого притока. 25 июля 2022 г.
Смотри также:
Обсуждение (1)
Все фото таксона (1221)

|
|
Обратная связь | Правила использования этого фото: Только по разрешению / все права защищены (©). Копирование и перепечатывание этого изображения возможно лишь с разрешения автора. Подробнее | |