
Спороносящие и вегетирующие растения. Свердловская обл., окр. г. Заречный, Гагарский лес, на коре Populus tremula. 05.09.2025.
Александр Козловских © 2026
Смотри также:
Код ссылки на фото
| Создать: | HTML или BBCode с "превьюшкой" |
| Код для ссылки в Сети: | |
| Так это будет выглядеть: | ![]() Lewinskya speciosa на сайте «Плантариум» |
Ссылки для публикаций
Козловских А. 2026. Изображение Lewinskya speciosa (Nees) F. Lara, Garilleti & Goffinet // Плантариум. Растения и лишайники России и сопредельных стран: открытый онлайн атлас и определитель растений. [Электронный ресурс] URL: https://www.plantarium.ru/page/image/id/862995.html (дата обращения: 30.05.2026).
Kozlovskikh A. 2026. Image of Lewinskya speciosa (Nees) F. Lara, Garilleti & Goffinet // Plantarium. Plants and lichens of Russia and neighboring countries: open online galleries and plant identification guide. URL: https://www.plantarium.ru/lang/en/page/image/id/862995.html (accessed on 30 May 2026).
Просмотры: 309Обсуждение
| Александр Козловских | На полуметровой высоте с северной стороны ствола осины обыкновенной. Небольшая легко распадающаяся дерновинка с гладкими зрелыми коробочками и волосистыми колпачками (Особые приметы): |
| Александр Козловских | |
| Александр Козловских | |
| Александр Козловских | |
| Александр Козловских | |
| Александр Козловских | |
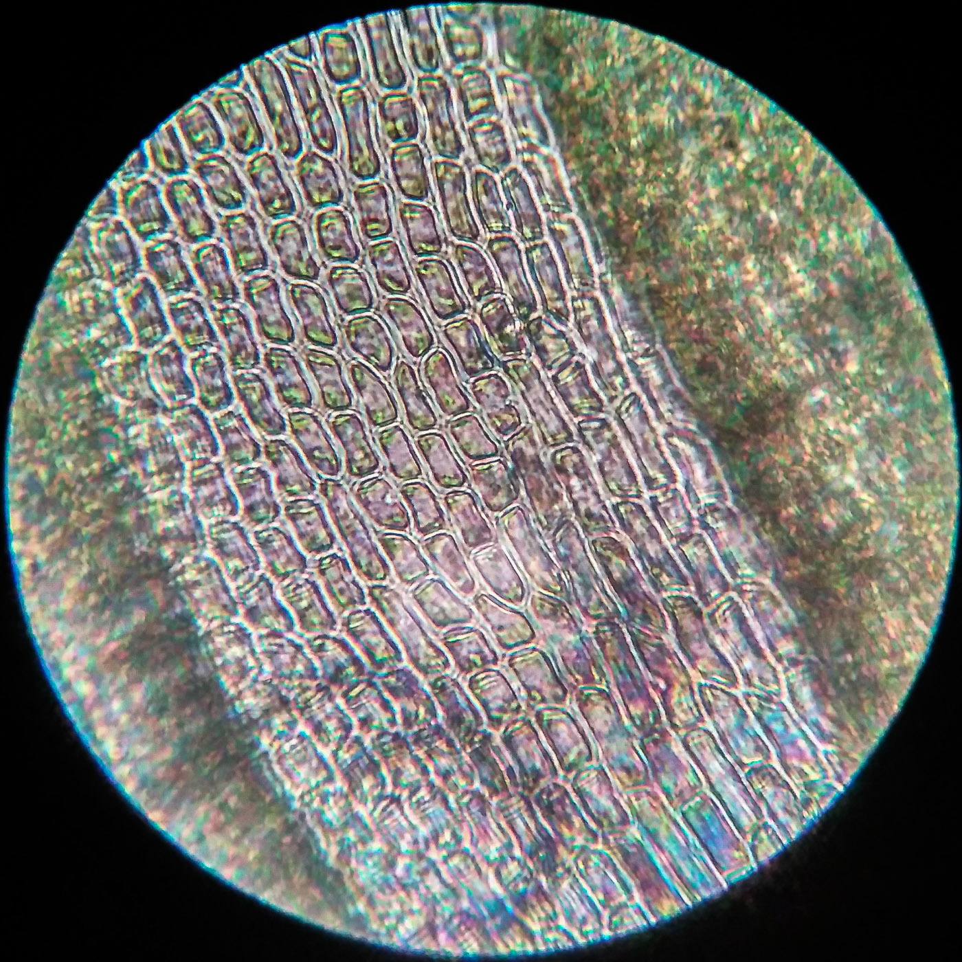
| Александр Козловских | Перихециальные листья, колпачок, споры: |
| Александр Козловских | |





































































