
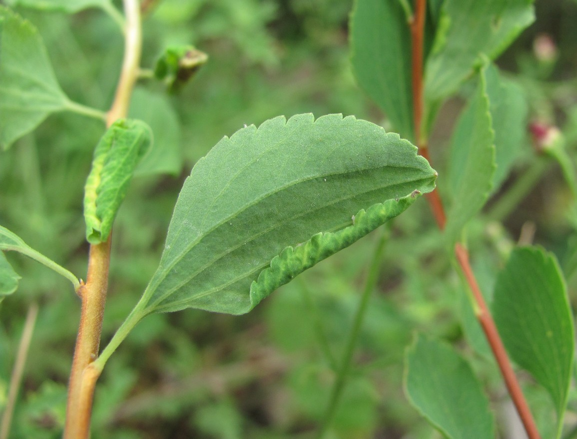
Лист с повреждением (вид снизу). Кабардино-Балкария, Эльбрусский р-н, окр. с. Нейтрино, ок. 1850 м н.у.м., субальпийский луг. 09.07.2020.
Смотри также:
Обсуждение (1)
Все фото таксона (95)

| 
						
						
						 | 
					Обратная связь | Правила использования этого фото: Только по разрешению / все права защищены (©). Копирование и перепечатывание этого изображения возможно лишь с разрешения автора. Подробнее | |