
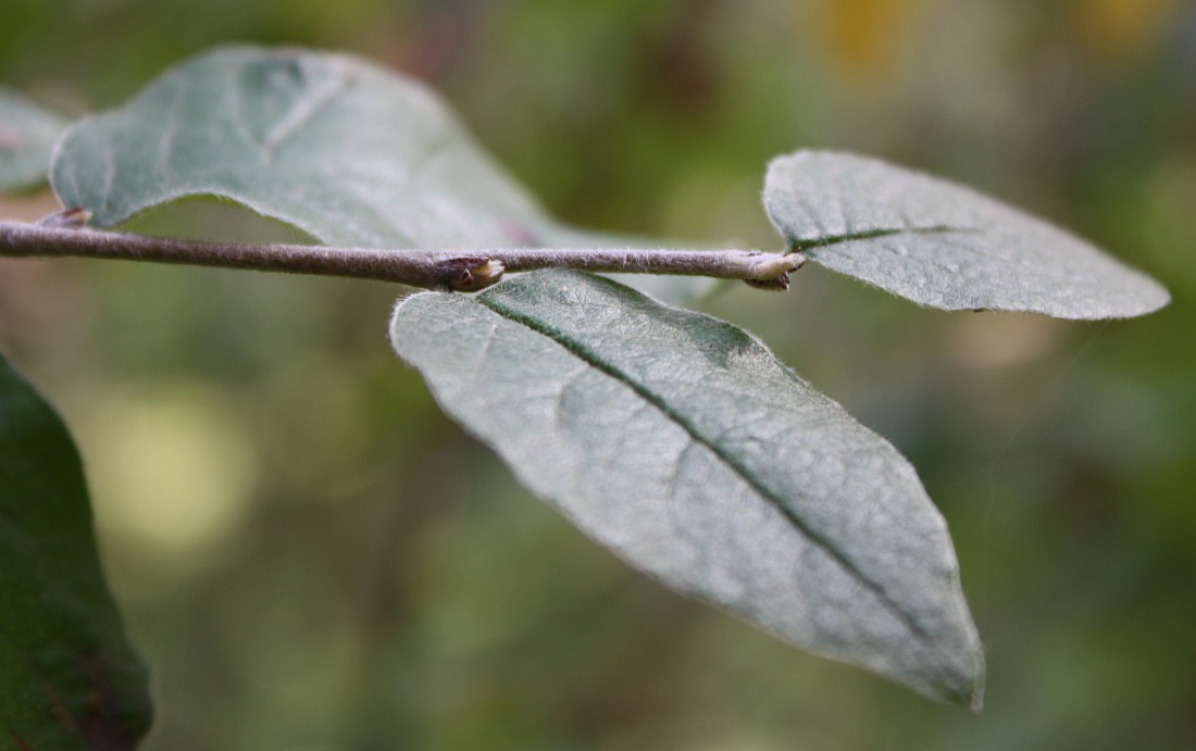
Верхушка побега. Алтай, окр. пос. Манжерок, сосняк на склоне г. Черепан. 26.08.2009.
See also:
All photos of taxon (267)

| 
						
						
						 | 
					Feedback | Rule to use this image: Only by permission / all rights reserved (©). Copying and reprinting of this image is possible only with the permission of the author. Details | |