
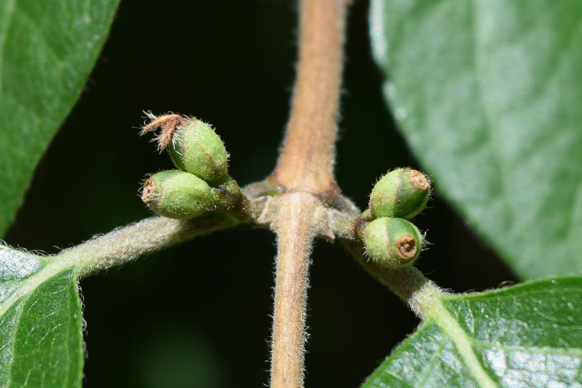
Завязавшиеся плоды. Узбекистан, г. Ташкент, Юнусабадский р-н, общий двор многоэтажных домов, в культуре. 15.05.2020.
See also:
All photos of taxon (133)

|
|
Feedback | Rule to use this image: Only by permission / all rights reserved (©). Copying and reprinting of this image is possible only with the permission of the author. Details | |