
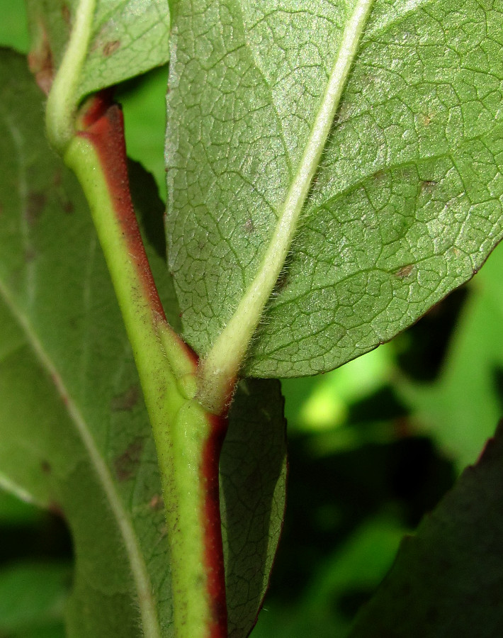
Часть побега; видно основание листа (вид снизу). Краснодарский край, окр. Красной Поляны, склон хр. Ачишхо, поляна. 12.10.2014.
See also:
All photos of taxon (43)

|
|
Feedback | Rule to use this image: Only by permission / all rights reserved (©). Copying and reprinting of this image is possible only with the permission of the author. Details | |