
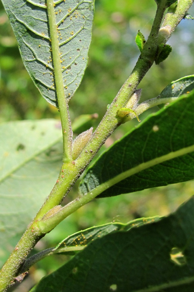
Побег; видны листья с обратной стороны. Окр. Архангельска, 18.08.2012.
Gennadiy Okatov © 2012
The marker on the map does not indicate the exact coordinates of the plant or lichen.
The marker does only indicate the conditional center of the terrain ("geographic point") where the photo was taken.
Open mapSee also:
Discussion (3)
All photos of taxon (1216)
Code of link to photo
| Create: | HTML or BBCode with preview |
| Code for linking on the web: | |
| This is how it will look: | ![]() Salix dasyclados Wimm. × Salix myrsinifolia on the site «Plantarium» |
Text to cite the page
Окатов Г. 2012. Изображение Salix dasyclados Wimm. × Salix myrsinifolia Salisb. // Плантариум. Растения и лишайники России и сопредельных стран: открытый онлайн атлас и определитель растений. [Электронный ресурс] URL: https://www.plantarium.ru/page/image/id/149801.html (дата обращения: 04.02.2026).
Okatov G. 2012. Image of Salix dasyclados Wimm. × Salix myrsinifolia Salisb. // Plantarium. Plants and lichens of Russia and neighboring countries: open online galleries and plant identification guide. URL: https://www.plantarium.ru/lang/en/page/image/id/149801.html (accessed on 4 Feb 2026).
Views: 815Discussion
| Gennadiy Okatov | |
| Vladimir Papchenkov | Совершенно согласен с Вашей первой версией определения. У просто ивы чернеющей не может быть подобной формы листовых пластинок, не может быть таких серповидных прилистников - это все от ивы шерстистопобеговой. И вообще, общий облик у этогой ивы - облик ивы шерстистопобеговой. Она в этом гибриде - материнское растение. Бинарного названия у данного гибрида нет, оставлять среди неопределенных не хочется. Я бы перенес ее к S. dasyclados с надеждой, что когда-либо гибриды этой ивы будут выделены из общей массы. |
| Gennadiy Okatov | Спасибо! Перемещайте, конечно, туда, куда Вы считаете правильнее перемещать. |
