
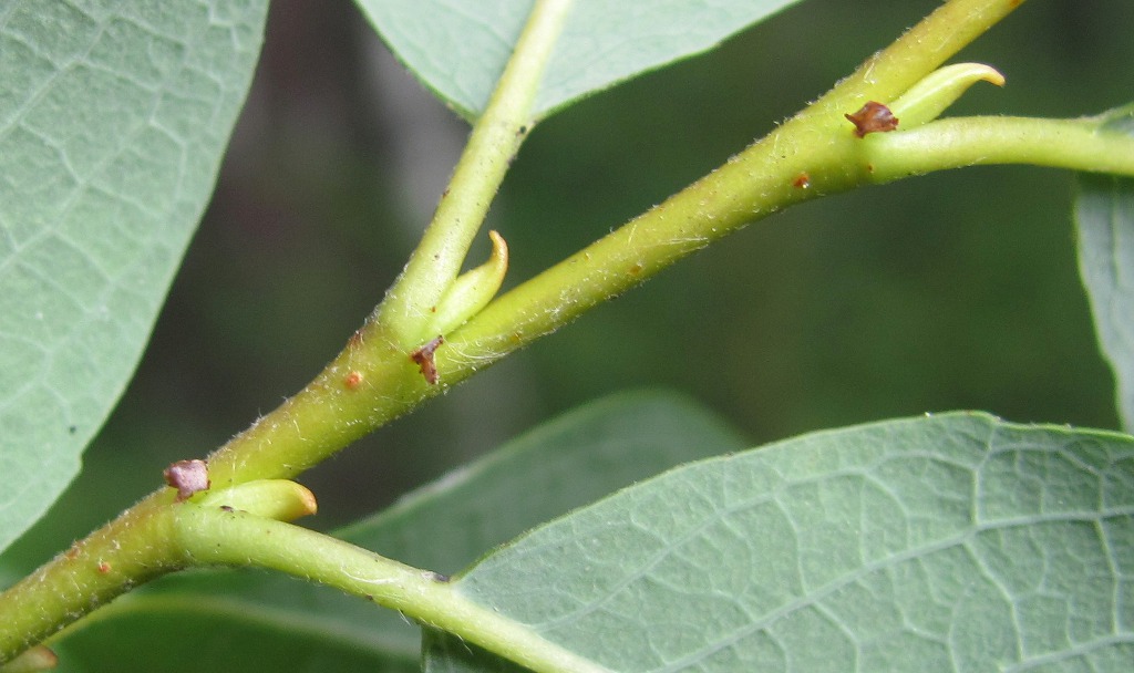
Ветвь с листьями, поражённымы мучнисторосяным грибом Erysiphe (Uncinula) adunca. Архангельская обл., Вельский р-н, вблизи лесной дороги. 08.08.2012.
The marker on the map does not indicate the exact coordinates of the plant or lichen.
The marker does only indicate the conditional center of the terrain ("geographic point") where the photo was taken.
Open mapSee also:
Discussion (7)
All photos of taxon (120)
Code of link to photo
| Create: | HTML or BBCode with preview | 
| Code for linking on the web: | |
| This is how it will look: | ![]() Salix starkeana on the site «Plantarium»  | 
Text to cite the page
Окатов Г. 2012. Изображение Salix starkeana Willd. // Плантариум. Растения и лишайники России и сопредельных стран: открытый онлайн атлас и определитель растений. [Электронный ресурс] URL: https://www.plantarium.ru/page/image/id/149376.html (дата обращения: 04.11.2025).
Okatov G. 2012. Image of Salix starkeana Willd. // Plantarium. Plants and lichens of Russia and neighboring countries: open online galleries and plant identification guide. URL: https://www.plantarium.ru/lang/en/page/image/id/149376.html (accessed on 4 Nov 2025).
Views: 1459Discussion
| Gennadiy Okatov | По-моему, не гибрид.      У меня сложилось впечатление, что это отдельный вид, близкий к иве Штарке. Встречаются такие ивы часто вдоль лесных дорог на сухих местах. Нередко замечал их и в лесах недалеко от этих дорог. Может быть Salix xerophila ? | 
| Vladimir Papchenkov | По мне, так это чистая S. starkeana. Salix xerophila не должна быть такой ярко окрашенной и блестящей, для нее характерны тусклые тона и наличие опушения.  | 
| Gennadiy Okatov | |
| Gennadiy Okatov | У обсуждаемой ивы на главных фото тоже есть небольшое опушение, и оно видно, например, на данном фото: IMG_7178+.JPG  | 
| Vladimir Papchenkov | Такого рода опушение - это нормально для данной ивы. Этот признак прописывается во всех ключах. У Salix xerophila опушения куда более заметное, делающее растение тусклым.  | 
| Gennadiy Okatov | |
| Vladimir Papchenkov | Вот про такую иву вполне можно сказать, что это Salix xerophila.  | 

  У меня сложилось впечатление, что это отдельный вид, близкий к иве Штарке. Встречаются такие ивы часто вдоль лесных дорог на сухих местах. Нередко замечал их и в лесах недалеко от этих дорог. Может быть Salix xerophila ?
