
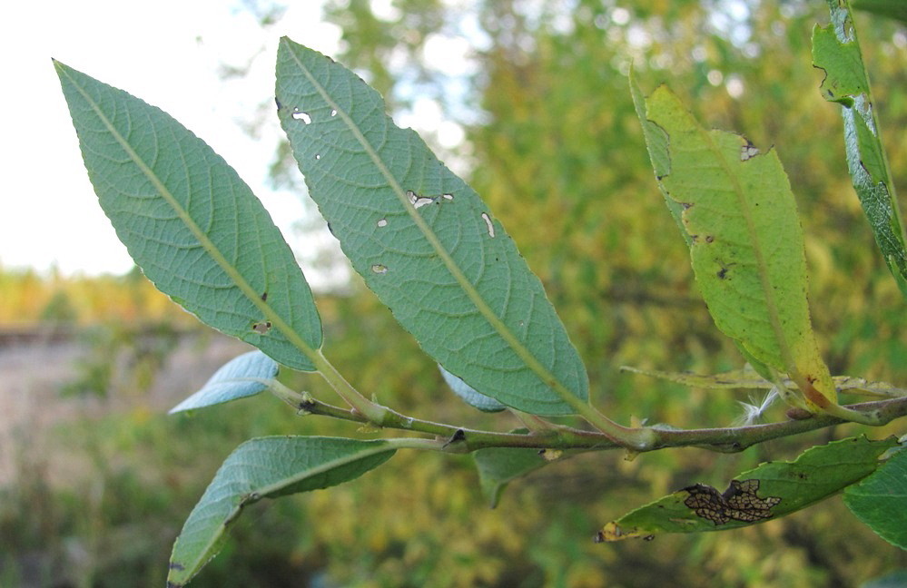
Верхушка побега. Окр. Архангельска, ивовые заросли близ канавы. 19.09.2011.
The marker on the map does not indicate the exact coordinates of the plant or lichen.
The marker does only indicate the conditional center of the terrain ("geographic point") where the photo was taken.
Open mapIdentification history
- 2011-11-28 Gennadiy Okatov published it as Salix myrsinifolia.
- 2011-11-28 Gennadiy Okatov identified it as Salix.
- 2012-04-12 Vladimir Papchenkov identified it as Salix × laurina.
- 2012-07-08 Gennadiy Okatov identified it as Salix.
- 2012-07-08 Vladimir Papchenkov identified it as Salix × puberula.
- 2012-07-08 Vladimir Papchenkov identified it as Salix borealis.
See also:
Discussion (14)
All photos of taxon (35)
Code of link to photo
| Create: | HTML or BBCode with preview |
| Code for linking on the web: | |
| This is how it will look: | ![]() Salix borealis on the site «Plantarium» |
Text to cite the page
Окатов Г. 2011. Изображение Salix borealis (Fr.) Nasarow // Плантариум. Растения и лишайники России и сопредельных стран: открытый онлайн атлас и определитель растений. [Электронный ресурс] URL: https://www.plantarium.ru/page/image/id/113245.html (дата обращения: 26.03.2026).
Okatov G. 2011. Image of Salix borealis (Fr.) Nasarow // Plantarium. Plants and lichens of Russia and neighboring countries: open online galleries and plant identification guide. URL: https://www.plantarium.ru/lang/en/page/image/id/113245.html (accessed on 26 Mar 2026).
Views: 3339Discussion
| Евгений Киреев | Что- то сомнительно... Кажется, эту иву Владимир Гаврилович определял как Salix x latifolia J.Forbes... |
| Vladimir Papchenkov | Думаю, что это S. × laurina (S. cinerea × S. phylicifolia). |
| Vladimir Papchenkov | Та ива, что я определял как Salix x latifolia выглядела несколько иначе (хотя и очень похоже). Там лист несколько шире и верх более cетчато-морщинистый, характерный для S. caprea, а верхушка извилисто-складчатая, что характерно для S. myrsinifilia. Здесь же все немножечко иначе. |
| Gennadiy Okatov | |
| Vladimir Papchenkov | Довольно высокие деревья - это как-то не очень вяжется с характеристикой S. myrsinifolia. Для сравнения: высота ивы мирзинолистной 1-4 м, ивы филиколистной - 1-3 м, ивы серой (пепельной) до 5 м, ивы козьей - 2-10 м. А то, что в рассматриваемой иве трудно признать мирзинолистную хорошо говорит фото 1058, где лист виден с нижней стороны. У листа с сизым низом был бы отчетливо виден зеленый цвет его верхушки, а здесь этого нет, как и нет ни намека на складчатость этой верхушки. |
| Gennadiy Okatov | Спасибо! Я неправильно представляю иву мирзинолистную, буду её более подробно изучать.
Но высота ивы мирзинолистной может быть и более 4 м , а также пишут, что она может быть и деревом (без указания высоты).
Это же растение переношу к роду.
Ещё фото данной ивы на всякий случай (сделаны со вспышкой): |
| Vladimir Papchenkov | М-да, дела. По этим последним двум снимкам складывется другая картина. Здесь у некоторых листьев снизу явно видна зеленая верхушка, и если бы не те другие снимки, я бы эту иву назвал S. × tetrapla (S. myrsinifolia × S. phylicifolia). И побеги без видимого опушения, не то что там. А это точно одни и те же деревья? Может быть рядом были кусты и того, и другого гибридов? |
| Gennadiy Okatov | Все снимки сделаны с одного одноствольного дерева. Последние 2 снимка - с ветвей этого дерева, которые располагались выше меня (которые я физически не мог достать), другие снимки - с ветвей ниже. В следующем году постараюсь снять также соцветия (если это, конечно, поможет). |
| Vladimir Papchenkov | Не уверен, что это поможет, но дополнительные сведения никогда лишними не бывали. Если у Вашей ивы такой клубок разноречивых признаков, то остается вариант более сложного гибрида типа S. × meikleana (S. caprea × S. myrsinifolia × S. phylicifolia), которая среди Ваших ив встречается совсем не редко. Только здесь вместо S. caprea должна быть S. cinerea (иначе откуда опушенной молодой побег). Правда, упоминание о таком гибриде в литературе мне не встречалось. |
| Gennadiy Okatov | |
| Gennadiy Okatov | |
| Vladimir Papchenkov | Salix myrsinifolia по моим наблюдениям ее в средней полосе Европийской России все же другая, таких плотных с блестящим верхом листьев здесь у нее не отмечается. Возможно это S. borealis (ее я знаю только по описаниям и не уверен, что правильно понимаю данный таксон), либо это S. × tetrapla (S. myrsinifolia × S. phylicifolia). Последний вариант мне ближе. |
| Vladimir Papchenkov | Напрашивается мысль, что в этой группе фотографий смесь видов и гибридов. Как Salix × puberula я определял http://www.plantarium.ru/page/image/id/143214.html. Иву на фото http://www.plantarium.ru/page/image/id/143213.html я отнес бы к S. borealis, а ту, что на основной фотографии http://www.plantarium.ru/page/image/id/113245.html – к S. × tetrapla. Если реально все фотографии сделаны с одного куста, то все надо относить к S. borealis, а мне больше не пытаться давать определения северным ивам. |
| Gennadiy Okatov | Фото http://www.plantarium.ru/page/image/id/143212.html, http://www.plantarium.ru/page/image/id/143213.html, http://www.plantarium.ru/page/image/id/143214.html - все 100%(!) с одного куста. Это http://www.plantarium.ru/page/image/id/113245.html и http://www.plantarium.ru/page/image/id/113247.html - прошлогодние фото, но я уверен, что они тоже все с этого куста на 90%. |

