
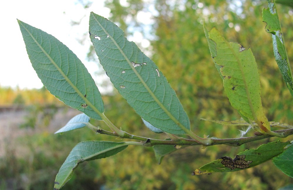
Верхушка побега. Окр. Архангельска, ивовые заросли близ канавы. 19.09.2011.
Маркер на карте не будет указывать точные координаты растения или лишайника.
Маркер укажет лишь на условный центр местности ("географической точки"), где сделано фото.
Открыть картуИстория определений
- 2011-11-28 Геннадий Окатов загрузил(а) как Salix myrsinifolia.
- 2011-11-28 Геннадий Окатов определил(а) как Salix.
- 2012-04-12 Владимир Папченков определил(а) как Salix × laurina.
- 2012-07-08 Геннадий Окатов определил(а) как Salix.
- 2012-07-08 Владимир Папченков определил(а) как Salix × puberula.
- 2012-07-08 Владимир Папченков определил(а) как Salix borealis.
Смотри также:
Обсуждение (14)
Все фото таксона (35)
Код ссылки на фото
| Создать: | HTML или BBCode с "превьюшкой" | 
| Код для ссылки в Сети: | |
| Так это будет выглядеть: |  Salix borealis на сайте «Плантариум» | 
Ссылки для публикаций
Окатов Г. 2011. Изображение Salix borealis (Fr.) Nasarow // Плантариум. Растения и лишайники России и сопредельных стран: открытый онлайн атлас и определитель растений. [Электронный ресурс] URL: https://www.plantarium.ru/page/image/id/113245.html (дата обращения: 31.10.2025).
Okatov G. 2011. Image of Salix borealis (Fr.) Nasarow // Plantarium. Plants and lichens of Russia and neighboring countries: open online galleries and plant identification guide. URL: https://www.plantarium.ru/lang/en/page/image/id/113245.html (accessed on 31 Oct 2025).
Просмотры: 3163Обсуждение
| Евгений Киреев | Что- то сомнительно... Кажется, эту иву Владимир Гаврилович определял как Salix x latifolia J.Forbes... | 
| Владимир Папченков | Думаю, что это S. × laurina (S. cinerea × S. phylicifolia). | 
| Владимир Папченков | Та ива, что я определял как Salix x latifolia выглядела несколько иначе (хотя и очень похоже). Там лист несколько шире и верх более cетчато-морщинистый, характерный для S. caprea, а верхушка извилисто-складчатая, что характерно для S. myrsinifilia. Здесь же все немножечко иначе. | 
| Геннадий Окатов | |
| Владимир Папченков | Довольно высокие деревья - это как-то не очень вяжется с характеристикой S. myrsinifolia. Для сравнения: высота ивы мирзинолистной 1-4 м, ивы филиколистной - 1-3 м, ивы серой (пепельной) до 5 м, ивы козьей - 2-10 м. А то, что в рассматриваемой иве трудно признать мирзинолистную хорошо говорит фото 1058, где лист виден с нижней стороны. У листа с сизым низом был бы отчетливо виден зеленый цвет его верхушки, а здесь этого нет, как и нет ни намека на складчатость этой верхушки. | 
| Геннадий Окатов | Спасибо! Я неправильно представляю иву мирзинолистную, буду её более подробно изучать. 
Но высота ивы мирзинолистной может быть и более 4 м   , а также пишут, что она может быть и деревом (без указания высоты). 
Это же растение переношу к роду. 
Ещё фото данной ивы на всякий случай (сделаны со вспышкой): | 
| Владимир Папченков | М-да, дела. По этим последним двум снимкам складывется другая картина. Здесь у некоторых листьев снизу явно видна зеленая верхушка, и если бы не те другие снимки, я бы эту иву назвал S. × tetrapla (S. myrsinifolia × S. phylicifolia). И побеги без видимого опушения, не то что там. А это точно одни и те же деревья? Может быть рядом были кусты и того, и другого гибридов? | 
| Геннадий Окатов | Все снимки сделаны с одного одноствольного дерева. Последние 2 снимка - с ветвей этого дерева, которые располагались выше меня (которые я физически не мог достать), другие снимки - с ветвей ниже. В следующем году постараюсь снять также соцветия (если это, конечно, поможет). | 
| Владимир Папченков | Не уверен, что это поможет, но дополнительные сведения никогда лишними не бывали. Если у Вашей ивы такой клубок разноречивых признаков, то остается вариант более сложного гибрида типа S. × meikleana (S. caprea × S. myrsinifolia × S. phylicifolia), которая среди Ваших ив встречается совсем не редко. Только здесь вместо S. caprea должна быть S. cinerea (иначе откуда опушенной молодой побег). Правда, упоминание о таком гибриде в литературе мне не встречалось. | 
| Геннадий Окатов | |
| Геннадий Окатов | |
| Владимир Папченков | Salix myrsinifolia по моим наблюдениям ее в средней полосе Европийской России все же другая, таких плотных с блестящим верхом листьев здесь у нее не отмечается. Возможно это S. borealis (ее я знаю только по описаниям и не уверен, что правильно понимаю данный таксон), либо это S. × tetrapla (S. myrsinifolia × S. phylicifolia). Последний вариант мне ближе. | 
| Владимир Папченков | Напрашивается мысль, что в этой группе фотографий смесь видов и гибридов. Как Salix × puberula я определял http://www.plantarium.ru/page/image/id/143214.html. Иву на фото http://www.plantarium.ru/page/image/id/143213.html я отнес бы к S. borealis, а ту, что на основной фотографии http://www.plantarium.ru/page/image/id/113245.html  – к S. × tetrapla. Если реально все фотографии сделаны с одного куста, то все надо относить к S. borealis, а мне больше не пытаться давать определения северным ивам. | 
| Геннадий Окатов | Фото http://www.plantarium.ru/page/image/id/143212.html, http://www.plantarium.ru/page/image/id/143213.html, http://www.plantarium.ru/page/image/id/143214.html - все 100%(!)  с одного куста. Это http://www.plantarium.ru/page/image/id/113245.html и http://www.plantarium.ru/page/image/id/113247.html - прошлогодние фото, но я уверен, что они тоже все с этого куста на 90%. |