Непознанное растение москва
Обсуждение
/ Определение растений / Форум
en
Плантариум
определитель растений онлайн
Форум
Определение растений
Все разделы
Активные обсуждения
Справка
Правила форума
Просмотры: 430
Обсуждение
Дима Жолудь
1
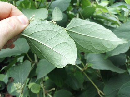
Добрый день. Москва, заросли чего-то, до 2 метров в высоту, стебель трубчатый, в Москве
jpg
IMG_20160915_100603+.jpg
jpg
IMG_20160915_100552+.jpg
jpg
IMG_20160915_100559+.jpg
Дима Жолудь
2
Дима Жолудь пишет:
Добрый день. Москва, заросли чего-то, до 2 метров в высоту, стебель трубчатый, в Москве
jpg
IMG_20160915_100607+.jpg
jpg
IMG_20160915_100609+.jpg
jpg
IMG_20160915_100630+.jpg
Николай Степанов
3
Дима, у вас - Reynoutria, то, что обычно известно как "Гречиха сахалинская" (или близкий вид - японская, или их гибрид).
Постоянная ссылка
Приглашение эксперта
Ссылка на это сообщение будет отправлена выбранному участнику "Плантариума" в "личку"
Эксперт:
Эксперт:
userName
|
Вернуться к выбору
Сервисы
Определение растения
Поиск таксонов
Поиск таксонов
Расширенный поиск
Поиск регионов и точек
Поиск регионов и точек
Расширенный поиск
Проверка названий
Растения и лишайники
Загрузить изображение
Все фотографии
Неопределённые виды
Неопознанные особи
Галерея таксонов
Каталог таксонов
Красные книги
Флористические списки
Местообитания
Ландшафты и сообщества
Географические точки
Административные регионы
Физико-географические регионы
Сообщество
Активные обсуждения
Форум
Новости проекта
Справочный центр
Участники проекта
Участник
Авторизация
Регистрация
Восстановление пароля
Поиск
Обратная связь
Наверх
www.plantarium.ru
«Плантариум» использует cookie-файлы. Оставаясь на сайте, вы подтверждаете своё согласие на их использование.
Соглашаюсь