Непознанное растение москва
Discussion
/ Определение растений / Forum
ru
Plantarium
online plant identification guide
Forum
Определение растений
All forums
Active discussions
Help and manuals
Rules of forum
Views: 431
Discussion
Дима Жолудь
1
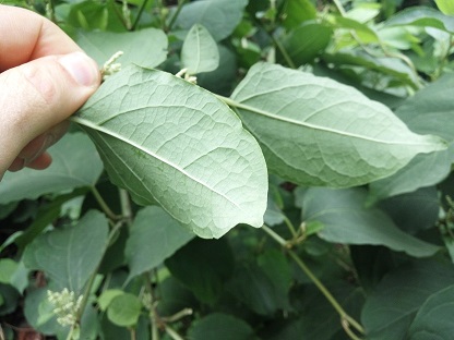
Добрый день. Москва, заросли чего-то, до 2 метров в высоту, стебель трубчатый, в Москве
jpg
IMG_20160915_100603+.jpg
jpg
IMG_20160915_100552+.jpg
jpg
IMG_20160915_100559+.jpg
Дима Жолудь
2
Дима Жолудь wrote:
Добрый день. Москва, заросли чего-то, до 2 метров в высоту, стебель трубчатый, в Москве
jpg
IMG_20160915_100607+.jpg
jpg
IMG_20160915_100609+.jpg
jpg
IMG_20160915_100630+.jpg
Nikolay Stepanov
3
Дима, у вас - Reynoutria, то, что обычно известно как "Гречиха сахалинская" (или близкий вид - японская, или их гибрид).
Permalink
Inviting an expert
Personal message with link to this post will be sent to selected participant of "Plantarium"
Expert:
Expert:
userName
|
Back to selection
Services
Plant identification guide
Search for taxa
Search for taxa
Advanced search
Search regions and points
Search regions and points
Advanced search
Check names in text
Plants and lichens
Upload image
All photos
Partially identified
Unidentified specimens
Gallery of taxa
Directory of taxa
Red Lists
Floristic lists
Environment
Landscapes and habitats
Geographic points
Administrative regions
Physiographic regions
Community
Active discussions
Forum
News of project
Help and manuals
Project participants
Participant
Log on
Sign up
Password recovery
Search
Feedback
To the top
www.plantarium.ru
"Plantarium" uses cookies. By continuing to browse the site, you consent to their use.
Agree