| Татьяна Никулина | Подскажите, пожалуйста, это же вяз гладкий (Ulmus laevis), да? |
| Татьяна Никулина | А вот это какой? (Это естественный пойменный лес в Донецкой области Украины). |
| Татьяна Никулина | Подскажите, пожалуйста, какой это тополь? Я думала - бальзамический (Populus balsamifera), но как-то не очень похож. Это в городском насаждении. |
| Татьяна Никулина | Подскажите, пожалуйста, что нужно сфотографировать у ясеня, чтобы на Плантариуме мне помогли его определить? Это ясени в насаждениях города Донецка, скорее всего неместные (по крайней мере часть из них точно). |
| Андрей Ковальчук | Чем больше Вам удастся сфотографировать, тем лучше. Постарайтесь снять почки (важен цвет их чешуй), соцветия, молодые неодревесневевшие побеги, листья сверху и снизу и, по возможности, плоды. |
| Татьяна Никулина | Вот, сфотографировала пока почки на одном ясене и почки + прошлогодние плоды на втором. Понимаю, что этого мало, но может быть, кто-нибудь поможет, пожалуйста!
Это городское насаждение (даже хуже - дендрерий Донецкого ботанического сада). |
| Дмитрий Орешкин | Ясень1.jpg может быть Fraxinus excelsior - почки чёрные. |
| Татьяна Никулина | Подскажите, пожалуйста, это Ulmus pumila так цветет? (Донецк, городское озеленение) |
| Андрей Любченко | Татьяна Никулина пишет:Ulmus pumila так цветет?
- нет
посмотрите его цветение на фото в таксоне - Ulmus pumila |
| Татьяна Никулина | Большое спасибо, всё пересмотрела, у меня получается, что U. laevis. |
| Татьяна Никулина | Подскажите, пожалуйста, что это такое? Сама найти не смогла (Донецк, ботанический сад) |
| Андрей Ковальчук | Это лещина - вроде, обычная Corylus avellana. |
| Татьяна Никулина | Вот оно как! А я не ту жизненную форму в определителе отмечала. Большое спасибо!!! |
| Андрей Ковальчук | Ач то за жизненная форма-то - дерево или кустарник? |
| Татьяна Никулина | Я искала на "дерево", но была не права. Меня сбили с толку прошлогодние листья под этими растениями, которые по-видимому принадлежат букам, растущим рядом. По краю этого "букового леса" расположены "кусты" метра по три высотой, которые я и сфотографировала. В ближайшее время смогу проверить. |
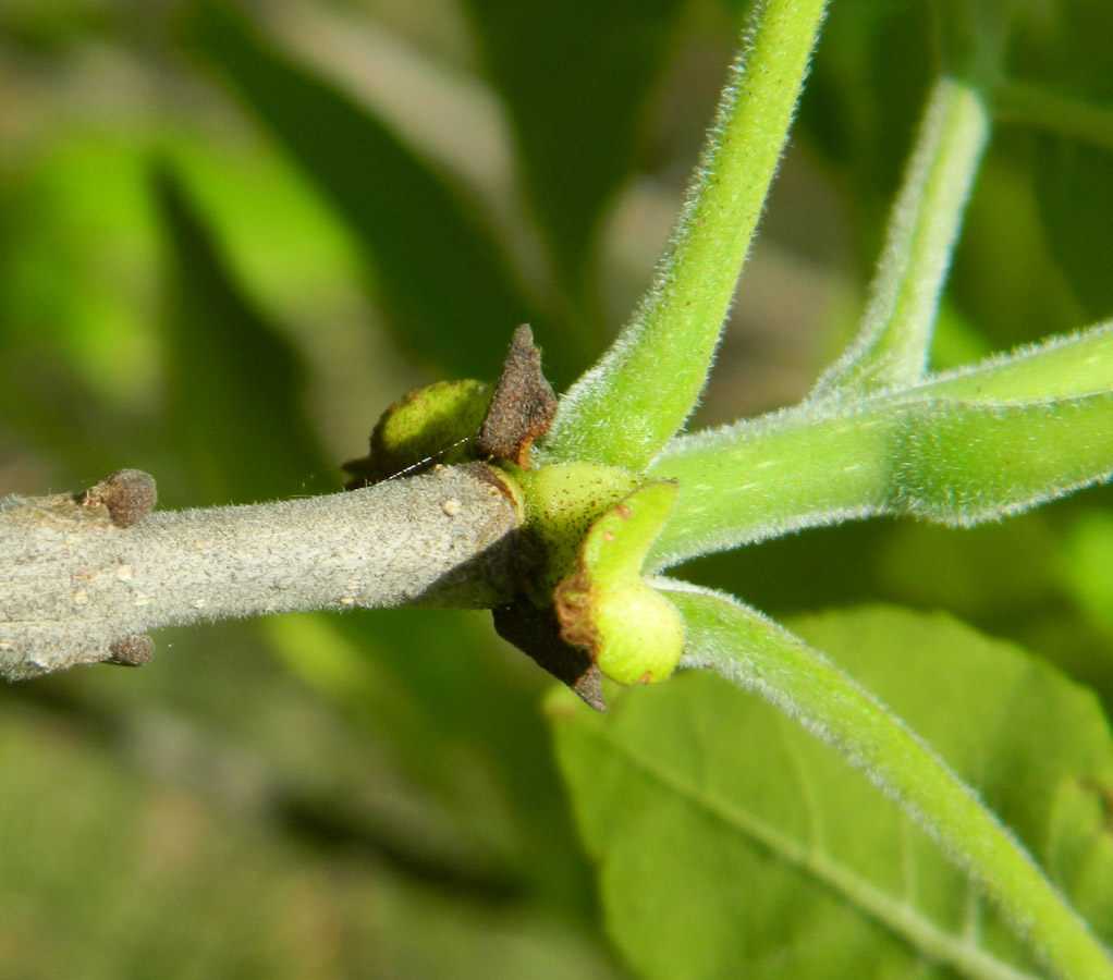
| Татьяна Никулина | Хочу вернуться к ясеням, представленным на фото в сообщении №9 здесь. Вот сфотографировала еще листья (на цветение не попала), может, теперь получится определить?
Вот ясень1 с черными почками в прошлом: |
| Татьяна Никулина | |
| Татьяна Никулина | Пожалуйста, помогите с ясенями, сфотографировала уже все, что у них есть. Названия всех фотогрфий для Ясень1 и Ясень2 на этой странице соответствуют в каждом случае одному и тому же растению. Вот Ясень1 (он, увы, не плодоносит): |
| Татьяна Никулина | |
| Андрей Любченко | Татьяна Никулина пишет:Вот ясень1 с черными почками
а чем "не устраивает" Fraxinus excelsior  |
| Владимир Васюков | Ясень 1 - cf. Fraxinus excelsior
Ясень 2 - cf. Fraxicus pennsylvanica |
| Татьяна Никулина | Устраивает! Просто никто как бы не сказал, что это он, но и как бы не сказал, что не он. А второй - можно будет пенсильванский? С "волосатыми побегами" в молодости? У меня просто их короеды едят, поэтому мне так интересно! |