
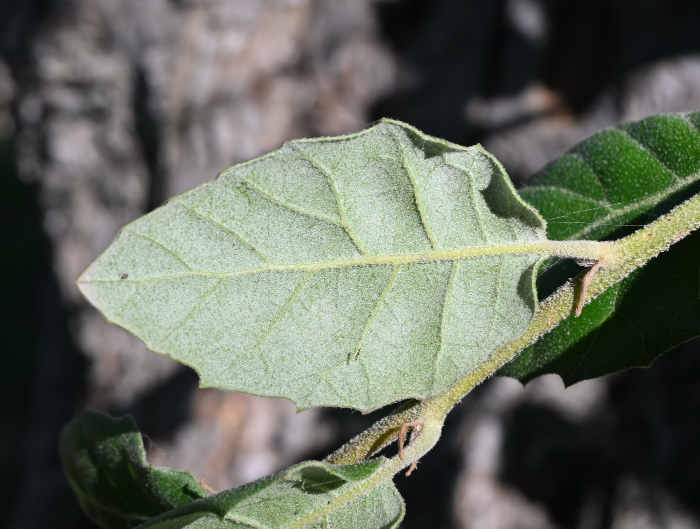
Часть побега (видна абаксиальная поверхность листа). Турция, Стамбул, р-н Бакыркёй, прибрежный парк "Флорья". 06.10.2025.
Координаты: 40° 58′ 11.27″ с.ш., 28° 47′ 28.71″ в.д. (смотреть на картах Google, Яндекса, OpenStreetMap)
Смотри также:
Все фото таксона (90)
