
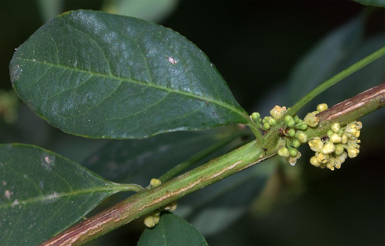
Часть ветви с листом и соцветиями. Узбекистан, г. Ташкент, Ботанический сад им. Ф.Н. Русанова. 06.10.2025.
Смотри также:
Все фото таксона (77)

|
|
Обратная связь | Правила использования этого фото: Только по разрешению / все права защищены (©). Копирование и перепечатывание этого изображения возможно лишь с разрешения автора. Подробнее | |