
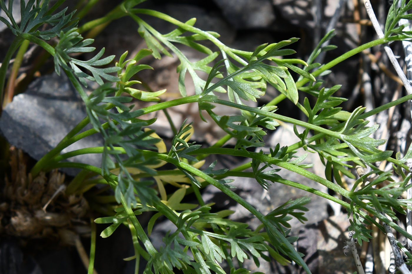
Вегетирующее растение. Казахстан, Алматинская обл., нац. парк "Алтын-Эмель", горы Чулак, ущ. Челбыр, щебнистые обломки на скальном уступе. 26 мая 2023 г.
Смотри также:
Обсуждение (5)
Все фото таксона (508)

|
|
Обратная связь | Правила использования этого фото: Только по разрешению / все права защищены (©). Копирование и перепечатывание этого изображения возможно лишь с разрешения автора. Подробнее | |