
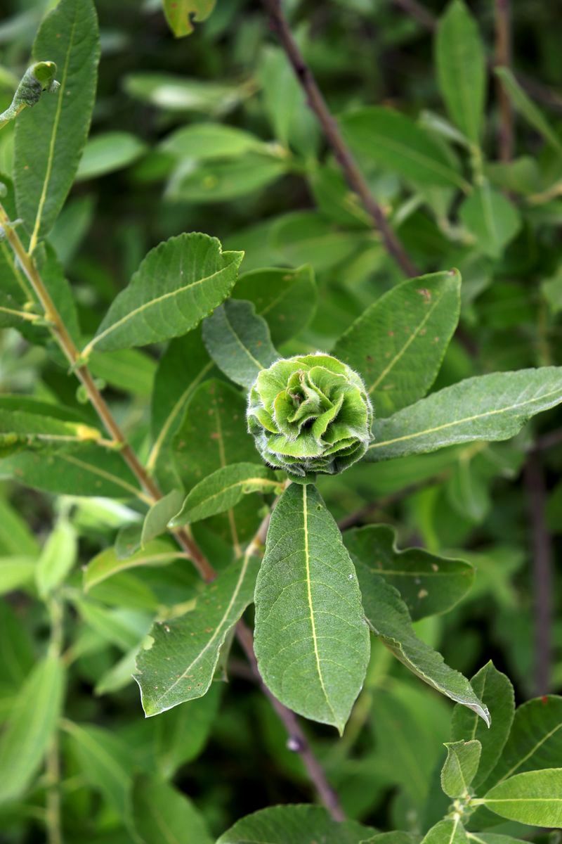
Галл, образованный Rabdophora rosaria, и листья. Республика Татарстан, г. Набережные Челны, Комсомольский р-н, около автотрассы М-7 Волга, 1039-й км, напротив СНТ "Кама-2", берег р. Кама. 16.07.2022.
Смотри также:
Все фото таксона (484)

|
|
Обратная связь | Правила использования этого фото: Только по разрешению / все права защищены (©). Копирование и перепечатывание этого изображения возможно лишь с разрешения автора. Подробнее | |