
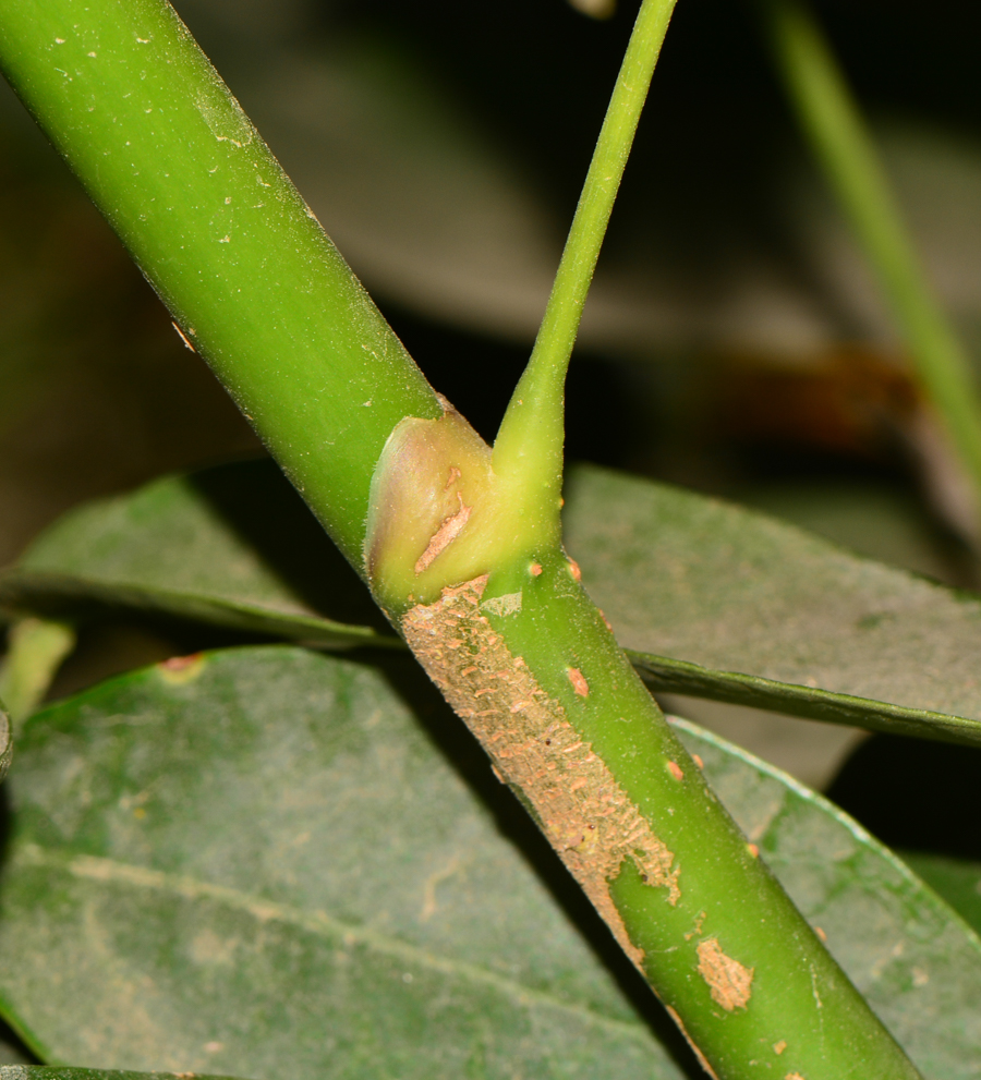
Часть побега с основанием листа. Израиль, Шарон, пос. Кфар Монаш, ботанический сад "Хават Ганой". 21.05.2017.
Смотри также:
Все фото в группе (15)
Все фото таксона (15)

|
|
Обратная связь | Правила использования этого фото: Только по разрешению / все права защищены (©). Копирование и перепечатывание этого изображения возможно лишь с разрешения автора. Подробнее | |