
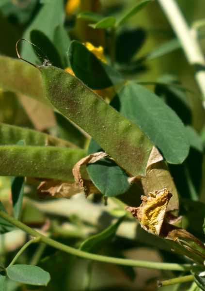
Часть стебля с листьями. Марий Эл, г. Йошкар-Ола, высокий берег р. Малая Кокшага, у Центрального моста, заросший песчаный участок. 29.10.2020.
Смотри также:
Обсуждение (6)
Все фото таксона (309)

|
|
Обратная связь | Правила использования этого фото: Только по разрешению / все права защищены (©). Копирование и перепечатывание этого изображения возможно лишь с разрешения автора. Подробнее | |