
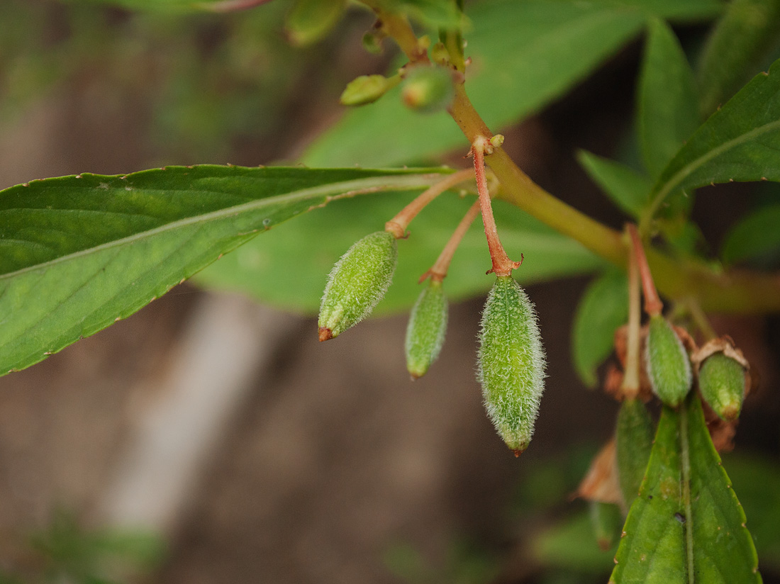
Часть побега с незрелыми плодами и основаниями листьев. Казахстан, Восточно-Казахстанская обл., Глубоковский р-н, окр. с. Кожохово, в культуре. 22.08.2015.
Смотри также:

|
|
Обратная связь | Правила использования этого фото: С указанием авторства (CC BY). Подробнее | |