
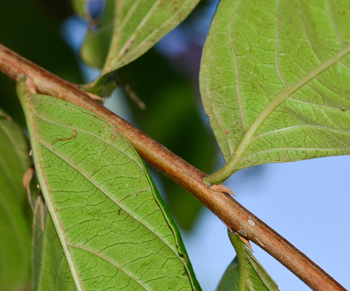
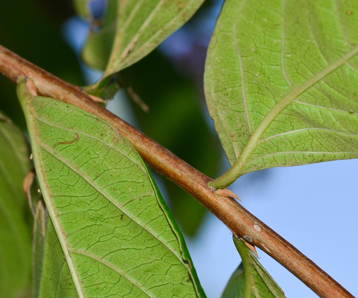
Верхушка ветви с соцветиями. Израиль, Назарет. 21.06.2012.
Смотри также:
Обсуждение (6)
Все фото таксона (160)
Код ссылки на фото
| Создать: | HTML или BBCode с "превьюшкой" |
| Код для ссылки в Сети: | |
| Так это будет выглядеть: | ![]() Lagerstroemia indica на сайте «Плантариум» |
Ссылки для публикаций
Солодухин В.А. 2012. Изображение Lagerstroemia indica L. // Плантариум. Растения и лишайники России и сопредельных стран: открытый онлайн атлас и определитель растений. [Электронный ресурс] URL: https://www.plantarium.ru/page/image/id/147790.html (дата обращения: 30.03.2026).
Солодухин В.А. 2012. Image of Lagerstroemia indica L. // Plantarium. Plants and lichens of Russia and neighboring countries: open online galleries and plant identification guide. URL: https://www.plantarium.ru/lang/en/page/image/id/147790.html (accessed on 30 Mar 2026).
Просмотры: 1887Обсуждение
| Сергей Зеленцов | Похоже, что это Лагерстрёмия индийская - Lagerstroemia indica из сем. Lythraceae |
| Андрей Ковальчук | Lagerstroemia, но я бы сказал, что это L. speciosa. Здесь листья на коротких, но заметных черешках, а у L. indica они почти сидячие. |
| Дмитрий Орешкин | Добавить таксон в базу? |
| Андрей Ковальчук | Можно было бы |
| Дмитрий Орешкин | |
| Татьяна Мальчинская | |
