
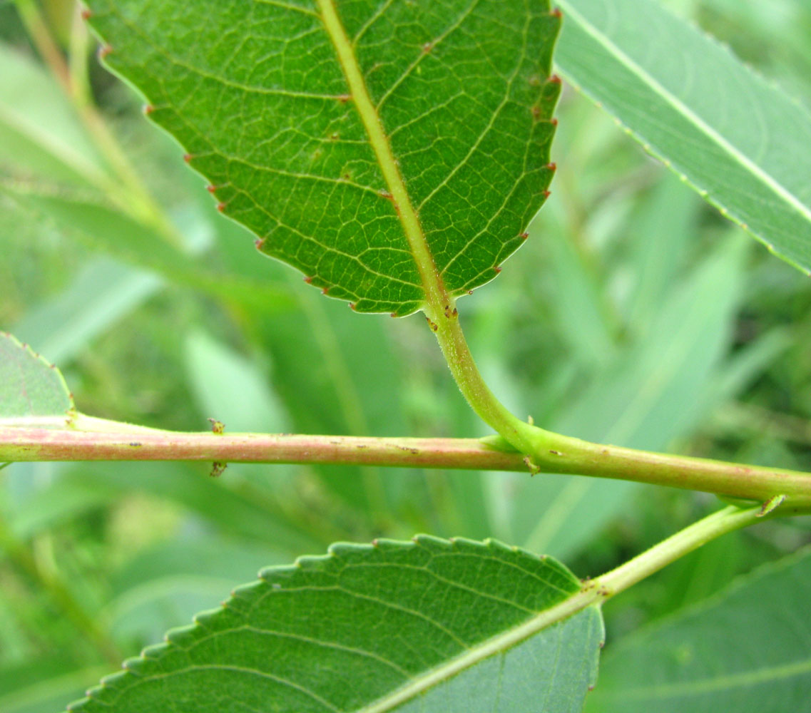
Средняя часть побега; черешки, прилистники и основания листовых пластинок. Ярославская обл., Переславский р-н, с. Елизарово, берег р. Шаха. 09.07.2011.
Смотри также:
Все фото таксона (62)

|
|
Обратная связь | Правила использования этого фото: Только по разрешению / все права защищены (©). Копирование и перепечатывание этого изображения возможно лишь с разрешения автора. Подробнее | |