Горец из Беларуси
Обсуждение
/ Определение растений / Форум
en
Плантариум
определитель растений онлайн
Форум
Определение растений
Все разделы
Активные обсуждения
Справка
Правила форума
Просмотры: 310
Обсуждение
Максим Казаков
1
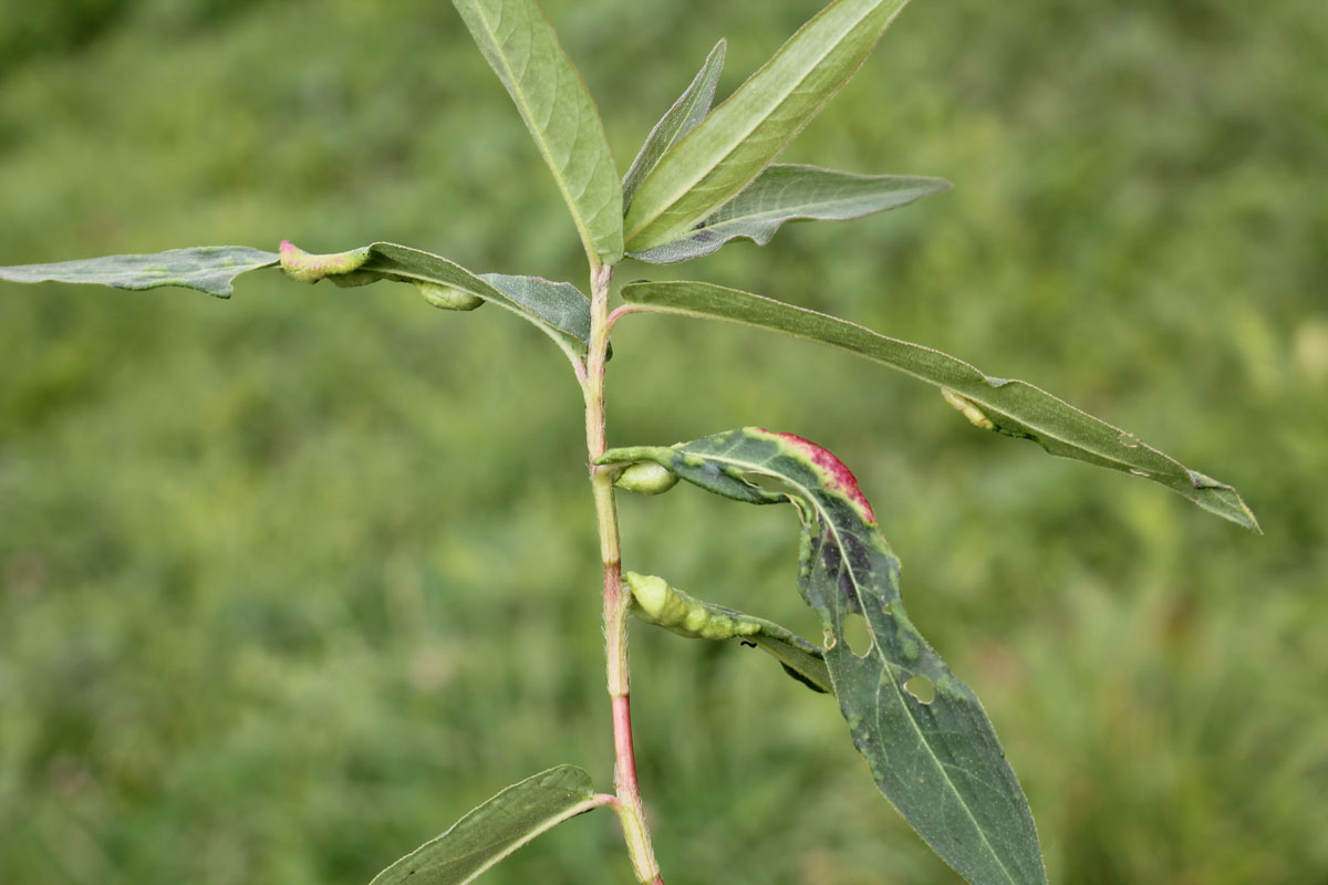
Помогите определить горец. Беларусь, Минск, берег небольшой реки. 30 сентября 2020 года. На листьях краевые галлы Wachtliella persicariae.
jpg
1.jpg
jpg
2.jpg
Дмитрий Бочков
2
Persicaria amphibia
Максим Казаков
3
Дмитрий Бочков пишет:
Persicaria amphibia
Спасибо!
Постоянная ссылка
Приглашение эксперта
Ссылка на это сообщение будет отправлена выбранному участнику "Плантариума" в "личку"
Эксперт:
Эксперт:
userName
|
Вернуться к выбору
Сервисы
Определение растения
Поиск таксонов
Поиск таксонов
Расширенный поиск
Поиск регионов и точек
Поиск регионов и точек
Расширенный поиск
Проверка названий
Растения и лишайники
Загрузить изображение
Все фотографии
Неопределённые виды
Неопознанные особи
Галерея таксонов
Каталог таксонов
Красные книги
Флористические списки
Местообитания
Ландшафты и сообщества
Географические точки
Административные регионы
Физико-географические регионы
Сообщество
Активные обсуждения
Форум
Новости проекта
Справочный центр
Участники проекта
Участник
Авторизация
Регистрация
Восстановление пароля
Поиск
Обратная связь
Наверх
www.plantarium.ru
«Плантариум» использует cookie-файлы. Оставаясь на сайте, вы подтверждаете своё согласие на их использование.
Соглашаюсь