
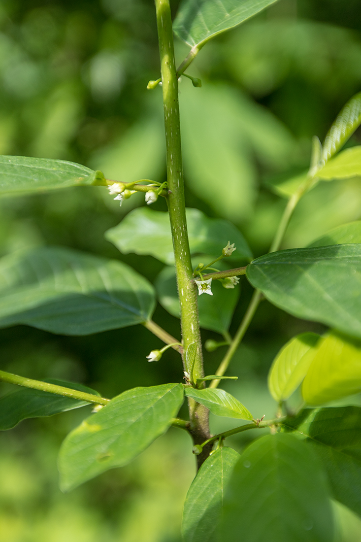
Часть побега с цветками. Краснодарский край, Туапсинский р-н, окр. аула Большое Псеушхо, обочина грунтовой дороги в лиственном лесу. 27.05.2023.
Смотри также:
Все фото таксона (313)

|
|
Обратная связь | Правила использования этого фото: С указанием авторства (CC BY). Подробнее | |